Associated Produce Plant


Castroville, California
Monterey County


For Further Information, Please Contact:
Brian Rianda, Inc.
34501 Chualar Cyn Rd.,
Chualar, CA 93925

Office: 831.679.2426 Fax: 831.679.2428

Cel: 831.229.0984

E-mail:  brianrianda@redshift.com

Web address:  www.rianda.com

Property Summary

OFF THE MARKET

Location:  11650 Del Monte Avenue, Castroville, California

Land Area:  3.692 acres

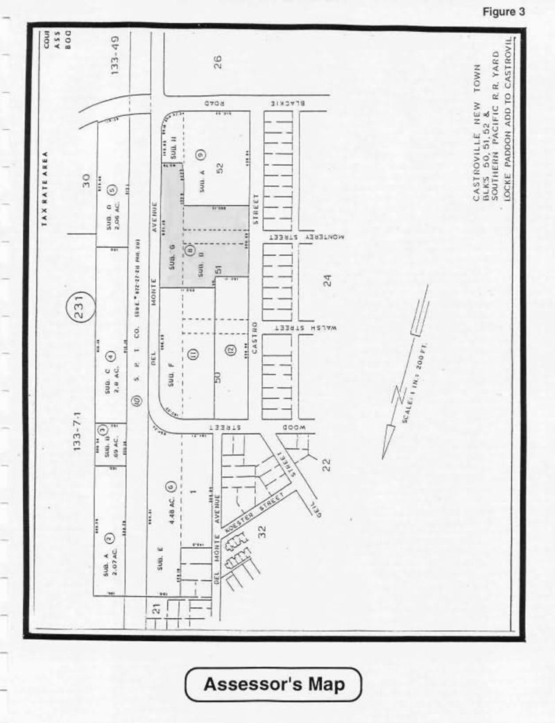
Property Identification:  Assessor’s Parcel Number 030-231-08

Zoning:  HI – Heavy Industrial

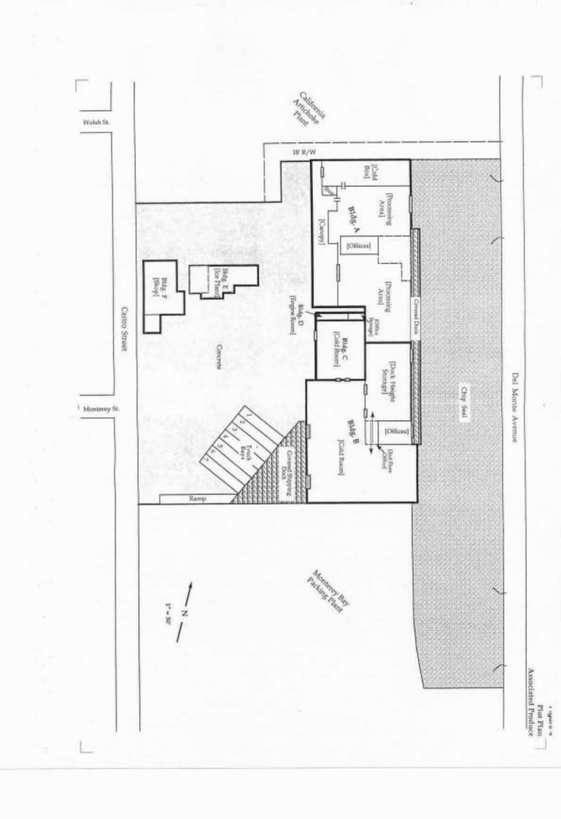
Improvements:  The main plant contains a gross building area of 40,143 square feet (Buildings A, B, C and D, as identified on the plot plan), which is divided into three cold rooms, vegetable processing, offices, and storage.  Attached to the main plant is a covered shipping dock with seven truck bays and a small shipping office.  Detached from the main buildings is an ice manufacturing plant (Bldg. E) and a shop building (Bldg. F).  The yard area along Del Monte Avenue is chip sealed.  The receiving and shipping yard facing Castro Street is paved with concrete.

Equipment:  The equipment includes the high and low side refrigeration equipment used to refrigerate the cold rooms and manufacture ice.  The equipment appraisal also includes the valuation of the ice-injector and hydro-vacuum tube.  The equipment was appraised by Mr. George Paulick of Cool Care, Inc..

Utilities:

  • Gas and Electrical – Provided by Pacific Gas and Electric – Electric power from 800 to 2000 amps

  • Sewer – Domestic and industrial sewer service is provided by the Monterey Regional Water Pollution Control Agency (MRWPCA)

  • Water – Water is provided by the Castroville County Water District

  • Lighting – Mercury vapor (inside), high-pressure sodium (outside)

Eave Heights: 14-24 feet

Price: $3,000,000 (Three Million Dollars)

Lease Terms:  $450,000 Per Year NNN

Terms: All cash or other terms acceptable to Seller

Disclaimer

This information is obtained from sources deemed reliable.  No representation or warranties are made as to the accuracy thereof and, should you accept and act upon said description or information, such action shall be upon the express understanding that no liability on the part of Brian Rianda, Inc. shall arise because of errors, omissions, change of price, rentals and leasing, or prior sale of withdrawal without notice.

Building A – Artichoke and former Broccoli Packing Building

Age - Approximately 26 years old

Combined Area – 18,860 sq. ft.

Center Clearance – 22’ ceiling height

Open Processing Area – 12,000 sq. ft.

Cold Box – 2,688 sq. ft., 20’ ceiling height

Two-Story Office/Restroom – 1,600 sq. ft.

(Extending from 2nd level office is a 1,170 sq. ft. loft)

Wood Frame Shop – 160 sq. ft.

Canopy – 3,212 sq. ft.

 

Building B – Dock Height Cooler, Offices and Storage Building

Age – Approximately 21 years old

Combined Area – 17,546 sq. ft.

Refrigerated Cooler Space – 12,096 sq. ft., 14-18’ ceiling height

General Storage – 4,514

Two-Story Office – 2,236

Building C – Original Cold Room

Age – Approximately 26 years old

Cold Room – 3,333 sq. ft., 20’ ceiling height

Building D – Mechanical and Storage Building

Age – 31 years old

Mechanical and Storage Building – 405 sq. ft.

Building E – Ice Plant

Age – Approximately 21 years old

Building Footprint – 2,092 sq. ft.

Second Level – 1,270 sq. ft.

 

Building F – Shop

Age - 46 years old

Shop Building – 2,720 sq. ft.

Covered Shipping Dock (7 Truck Bays)

Dock - 4,568 sq. ft.

 

Total Footage:

18,177 sq. ft. – Total refrigerated space

35,939 sq. ft. - Total footage excluding the icehouse, shop and covered shipping dock

3,836 sq. ft. – Total office footage

40,144 – Total footage for Buildings A, B, C & D

Click map & photos to enlarge

AssociatedProducePlant_04_0001.jpg (203618 bytes)  AssociatedProducePlant_05_0001.jpg (187670 bytes)
click images to view larger.

Area Description

The Associated Produce plant is located in Castroville, California. Castroville is an unincorporated district of Monterey County with a 1990 census population of 5,000. Castroville is located at the northern end of the Salinas Valley. It is situated at the junction of Highways 1, 156 and 183, and is only five miles from U. S. Highway 101. The location is also within 10 minutes of Salinas, 15 minutes of Monterey, and 15 minutes of Watsonville.

The industrial sector of Castroville is located at the southeast end of town. The industrial district began near the Southern Pacific Railroad line due to the historical need for agricultural shipping by rail. Up until the late 1970's, the predominant industrial use in Castroville was ag-related and consisted of fresh vegetable processing and cooling plants, two artichoke packing sheds, and an artichoke processing plant. The industrial base was expanded in 1980 when the Castroville Industrial Park was developed.

The Castroville Industrial Park contains approximately 85 net acres and is divided into 52 parcels, which range in size from 1.0 to 5.0 acres. The park has been developed primarily for storage and distribution facilities, benefiting from Castroville's strategic location on the Central Coast and its proximity to the Monterey Peninsula, Salinas, Watsonville and Santa Cruz. Food processing is not possible in the park due to a lack of sewer services. Sanitation is by septic tank. As of March 1995, approximately 64 acres had been sold involving 36 of the 52 lots. 

An expansion of the Castroville Park was completed in 1994 with the development of Castroville Park West. This is a 37.85 acre property that was recently subdivided into 8 industrial lots ranging in size from 1.16 net acres to 13.82 net acres. Castroville West is suited for agricultural processing and heavier industrial uses, as it is connected to the Monterey Regional Water Pollution Control Agency. Sewer is available, subject to paying a hook-up fee. Castroville Park West is the location of Artichoke Industries' new processing plant, and it is also the location for Ocean Mist Farms' new produce cooler plant.

The infrastructure improvements which serve the Castroville industrial sector were upgraded in 1992 with the creation and development of the Blackie Road Assessment District. This assessment district approved a $2.5 Million bond that paid for infrastructure improvements along Blackie Road, from Merritt Street to the Castroville Industrial Park. The improvements included the realignment of streets, improvements to the intersections, improvements to the rail crossing, and the widening of Blackie Road.

AssociatedProducePlant_07_0001.jpg (160477 bytes)
click image to view larger.

Location

The Associated Produce property is located in the older industrial section of Castroville. The plant is situated on the west side of Del Monte Avenue and the east side of Castro Street, between Blackie Road and Wood Street. Blackie Road is the primary linkage road for Castroville's industrial district. Blackie Road extends from Highway 156 at Castroville to Highway 101. The SPRR line runs parallel with the east side of Del Monte Avenue. The SPRR crossing at Blackie Road is a modern designed controlled crossing.

The adjoining land uses to the north, east and south are industrial, devoted primarily to vegetable processing, receiving and shipping. The Ocean Mist Farms plant (California Artichoke) borders the subject to the north and the Monterey Bay Packing plant to the south. The Ocean Mist Farms plant is 5.7 acre industrial site improved with a 60,000 square foot vegetable processing plant constructed between 1965 and 1980. Ocean Mist is constructing a new plant in the Castroville Industrial West Park and this facility has been for sale since early 1996.

Situated on the west side of Castro Street are single-family residential uses. The residential uses are for the most part older, low-to-average cost single-family dwellings. The price of housing in the adjoining residential neighborhood ranges from approximately $85,000 to $175,000. The proximity of the residential uses to the industrial use is a potential conflict due to the nuisance associated with heavy truck traffic near a residential district.

Site Description

The property is an interior site with frontage on two streets: Del Monte Avenue and Castro Street. The dimensions of the site and land area are the following:

Del Monte Avenue frontage:                                                                       571.15 feet

Castro Street frontage:                                                                       320.55 feet

Depth:                                                                                                  400 feet

Land Area:                                                                                           3.692 acres

Shape:                                                                                                  Irregular

Topography:                                                                                       Level and at road grade

Street Improvements

Del Monte Avenue and Castro Street are two-lane, two-directional public right-of-ways. Del Monte Avenue is a paved SO-foot-wide right-of-way which was recently realigned to its present configuration as part of a 1994 redevelopment project. The redevelopment project consisted of Del Monte Avenue being dedicated from the SPRR yard, and the division of the former SPRR Castroville train depot into several parcels which were then sold off to adjoining owners. As part of the redevelopment project, the County of Monterey granted a waiver whereby curbs, gutters and sidewalks were not required. Castro Street is a 60-foot-wide right-of-way improved with curb, gutter and sidewalk.

Utilities

Gas and Electrical

Provided by Pacific Gas and Electric.

Sewer

Domestic and industrial sewer service is provided by the Monterey Regional Water Pollution Agency (MRWPA).

Water

Water is provided from the Castroville County Water District.

Easements

A title report has not been provided. As indicated on the parcel map, a 25-foot railroad easement extends along the east side of the covered rail dock. The rail spur has since been removed, but it is unknown whether or not the easement has been formally removed. The area of the easement is currently paved with chip seal.

Associated Produce has an 18-foot-wide non-exclusive easement for ingress and egress for forklifts and two-axle trucks from the adjoining California Artichoke property to the north. The location of the easement is shown on the plot plan (Figure 4). The easement is currently used by both California Artichoke and Associated Produce for forklifts and two-axle vehicles.

Flood Hazard

The property is identified by Flood Insurance Rate Map (FIRM) Panel 060195 0055D as being within a "B" flood zone designation. This is an area between limits of the 100-year flood and 500-year flood.

The subject property was not flooded during the March, 1995 flood.

Seismic Hazard

Castroville is located in an area surrounded with earthquake faults. The North Monterey County Land Use Plan identifies the area as being within a Zone VI - Very High Seismic Hazard Zone. While being in a Zone VI, the property is not in an Alquist-Priolo Special Studies Zone.

Land Use Policies

Castroville is an unincorporated area that is under the jurisdiction of Monterey County. The applicable land use polices are outlined in the North County Area Plan (Plan), a part of the Monterey County General Plan and dated July, 1985. The General Plan identifies the subject area as being within an industrial district with a maximum building height of 35 to 75 feet, and a maximum lot coverage of 50%.

The specific zoning is "HI-Heavy Industrial". The purpose of the "HI" District is to provide a district for the development and protection of a broad range of well designed, properly landscaped modern industry, research institutions and administrative facilities, not dependent on pedestrian traffic. Uses such as warehouses, offices, contractors yards, manufacturing and research laboratories may be allowed subject to certain permit requirements.

The existing produce receiving, packing and shipping use is an allowed use under the HI regulation, subject to obtaining a use permit

AssociatedProducePlant_11_0001.jpg (142633 bytes)
click images to view larger.

Building Improvements

The property is utilized as a produce receiving, cooling and shipping facility which was constructed in stages between the mid-1960's and the late 1980's. The plant was originally designed to pack artichokes and broccoli and has evolved over the past two decades into a receiving, cooling and shipping facility, though artichokes continue to be packed on-site. The broccoli lines were removed in the early 1980's.

The improvements include the main plant buildings, which consist of several attached steel buildings that front along Del Monte Avenue and extend the width of the site. A covered rail dock extends along the building frontage; however, the rail spur has since been removed, as all produce shipping from this facility is by truck rather than rail.

The main plant contains a gross building area of 40,143 square feet (Buildings A, B, C and 0, as identified on the plot plan) which is divided into three cold rooms, vegetable processing, offices and storage. Attached to the main plant is a covered shipping dock with seven truck bays and a small shipping office. Detached from the main buildings is an ice manufacturing plant (Bldg. E) and a shop building (Bldg. F). The yard area along Del Monte Avenue is chip sealed. The receiving and shipping yard area facing Castro Street is paved with concrete.

The refrigeration equipment included in this appraisal report consists of the fixed refrigeration equipment used to cool the cold rooms and manufacture ice. In addition, the refrigeration appraisal includes the ice injector and hydro-vacuum tube located in the receiving/ shipping yard. The refrigeration equipment appraisal was performed by Mr. George Paulick of Cool Care, Inc. Mr. Paulick's report is included in the addendum of this report.

 

Building Description

Building A - Artichoke and former Broccoli Packing Building

The packing room is an 18,860 square foot, steel frame building with a baked enamel metal cover. The floor is at site grade and has a 22' center clearance. The packing room has a concrete slab floor with a recessed floor drain. Lighting is provided by mercury vapor lights and skylights.

This building was originally designed for packing artichokes and broccoli. The broccoli lines at the south end of this building have since been removed and this end of the building is used for general storage. The building is partitioned into a 12,000 sf open processing area; a 2,688 sf cold box located at the north end; a 1,600 sf two-story office/restroom building situated in the center; a 160 sf wood frame shop; and a 3,212 sf canopy.

The cold box is a 20' high, wood frame enclosure with plywood panel insulated walls and ceiling. Access is provided by a single electric operated door which opens up to the yard area. The two-story office/restroom partition has employee restrooms and a storage room on the ground level and offices on the second level. Extending from the second level office is a 1,170 sf storage loft.

Building A has an effective age of approximately 20 years. The quality of construction is average and the present day condition is fair. The roof is a metal roof which is in need of replacement. The owners have entered into a contract with Salinas Steel Builders to have the roof replaced. As of the valuation date of this appraisal, the roof has not been replaced. The valuation estimate reflects the condition as of the valuation date. The cost to replace the roof is incorporated into the valuation methods discussed later in this report.

The interior layout of the building was designed to accommodate two packing lines - artichokes and broccoli. Broccoli is now packed in the fields, and there is some experimentation to pack artichokes in the field. If the industry evolves into packing artichokes in the field, the use of this space would change. The processing area could be used for value-added vegetable packing lines and/or be converted to another use. An area of concern regarding the adaptability of the space for other uses is the location of the 2-story office/restroom. This partition is located in the center of the processing area. If the processing area was to be converted to another use, the location of the restroom/office could restrict the utility of the space.

Building B - Dock Height Cooler. Offices and Storage Building

Building B is a combination of four attached steel buildings which were built between the mid-1960's and 1981. The buildings are all at dock height and contain a gross, combined area 17,546 square feet.

This building was built in stages and is currently partitioned into 12,096 square feet of refrigerated cooler space, 4,514 square feet of former rail staging area which is currently used for general storage and a 2,236 sf, two-story office.

The cooler is a combination of three steel buildings of which the interior walls have been removed and is now used as one large cold room. The walls and ceilings have blown on insulation. The ceiling height varies from approximately 14 to 18 feet. The low ceilings limit the ability to install racks for double stacking. There are three roll-up doors along the western elevation wall which provide forklift ingress- egress to the covered shipping dock.

The office is partitioned into four private offices, a sales office, a conference room, general secretarial area, two restrooms, three storage rooms and a small kitchen area. The floors are covered with carpet, and the walls and ceiling are painted. Lighting is provided by fluorescent mounted tubes. Mechanical service includes central heating and air conditioning. The quality of construction is low-cost and the present day condition is fair.

Building B has an effective age of approximately 15 years. The quality of construction is average and the present day condition is fair. The roof is a metal roof which the northern end of the building is in need of replacement. The roof is scheduled to be replaced by June, 1997. The cost to replace the roof is treated in this appraisal as a curable depreciation item. In addition to the physical deterioration of the roof, the building suffers from several forms of obsolescence, summarized below:

1) The former rail staging area is no longer functional for its intended use. This section of the building could possibly be converted into refrigerated cooler space.

2) The existing cold rooms are functional, but the primary limitation is the low ceiling height. Modern coolers are typically 20 feet and higher to allow for double and triple pallet stacking.

3) The location of the office extends into the center of the building, which restricts the utility of the interior.

Building C - Original Cold Room

Building C is at grade level and construction consists partially of concrete block and steel frame with metal siding walls over the steel frame. The ceiling height is 20 feet. The interior is insulated with plywood insulation panels. The building contains 3,333 square feet and has one electrically operated door that opens to the yard area, 1 manually levered door that opens to the processing area, and two to the adjoining cold room.

Building C has an effective age of approximately 20 years. The quality of construction is average. The general condition is good. The roof is a composition shingle roof cover which was replaced in 1995.

Building D - Mechanical and Storage Building

Building D is a 405 sf wood frame, metal siding building attached to the north end of Building C. This building is partitioned into an electrical room and office storage room. Building D has an effective age of approximately 25 years. The quality of construction is low cost. The general condition is good.

Building E - Ice Plant

The ice plant was constructed in 1983 and is a heavy steel frame building. The walls around the ice bins and ice making rooms are sandwich paneled, insulated metal walls. The floors, walls and ceiling of the ice house are fully insulated for below-freezing capability. The building footprint is 2,092 square feet. The ground level is divided into

//~ an ice bin room, a machinery room, and an electric equipment room.

The second level contains 1,270 square feet and is utilized to store the ~ ice makers and compressors.

The ice making equipment includes four Glacier Icemakers. Each ice machine is designed to make 30 tons of ice per day. Total maximum ice making capability is 120 tons per day. The storage capacity is 150 tons. Delivery to the system is at a maximum rate of 25 tons per hour. The ice making equipment and delivery system are included in the refrigeration equipment appraisal section of this report.

The ice plant is an above-average quality constructed building, and the present day condition is good. The design and equipment remains functional as the industry continues to construct ice plants similar to the Associated Produce plant. The effective age is 15 years.

Building F - Shop

The shop building is a 2,720 sf, wood frame structure with a concrete slab floor and corrugated iron siding and roof cover. The quality of construction is low cost, and the present day condition is fair. The effective age is approximately 40 years old.

Covered Shipping Dock

Attached to the Building B cooler is a covered shipping dock. The dock area contains 4,568 square feet, plus a small dispatch office. There are seven truck bays. The bays are equipped with a truck leveler and bumper. There are three ice hoses which provide icing for six bays.

Rail Dock

Attached to the eastern elevation wall is 10' x 235' rail dock with an

overhead steel frame canopy. The rail spur serving the rail dock has since been removed, and the rail dock provides limited utility to the plant.

Yard Improvements

The yard area is paved with a combination of concrete and chip seal. The overall condition of the paving is good. The concrete is a minimum of 8-inches with rebar running 16" 0/ c. The concrete is located at the west end of the plant in the receiving and shipping yard area. The yard area fronting along Del Monte is chip sealed. The perimeter of the site is improved with a cyclone fence. The fence along Del Monte Avenue is a new fence and in good condition. The fence along Castro Street is an older fence in fair condition. The yard improvements are summarized as follows:

Concrete paving                                                                                     53,000 square feet

Chip seal paving                                                                                     57,000 square feet

Cyclone fencing (new)                                                                         760 lineal feet

Cyclone fencing (old)                                                                         490 lineal feet

 

ass1.jpg (42837 bytes) ass3.jpg (34023 bytes) ass5.jpg (44145 bytes)
ass2.jpg (43251 bytes)
ass4.jpg (35967 bytes)
  click images to view larger.
ass6.jpg (45232 bytes)

For a Printable PDF download & print  AssociatedProducePlant.pdf

You may download the PDF reader Here for FREE.